
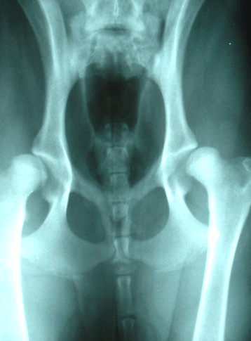
Schnauzern är en ras som inte har några signifikanta problem med höftlederna till skillnad från de som vissa större och tyngre raser har. Detta framgår av försäkringsbolagens statistik och den enkät som genomfördes av vår avelskommitté inför den senaste RAS (Rasspecifik Avels strategi). Detta motsäger nyttan av HD-röntgen så varför ska vi då röntga och varför började vi med det?
Ett skäl som man brukar hävda är att det krävs för internationellt avelsutbyte och så är det till exempel i Tyskland. Det internationella avelsutbytet är vi beroende av då vår ras är liten med ca 160 registreringar per år och avelsbasen därmed begränsad. Detta förklarar inte varför jag som enskild hundägare ska behöva röntga.Man brukar prata om att avelsdjuren ska ha ”fria” höftleder. Med detta menas vanligen A- eller B-status vid röntgenavläsning. C kan också accepteras. Detta är dock inte hela sanningen. Uppfödaren har också behov av att veta HD-statusen på avkommor, syskon, föräldrar etcetera.
Rasens fortlevnad och utveckling med god fysisk och mental hälsa är dock inte enbart upp till uppfödarna utan även schnauzerägarna har del i detta. Skulle min hund ha dåliga höftleder, finns det goda möjligheter att hunden kan få ett bra liv utan smärta eller hinder genom rätt träning och hantering. Här har den enskilde hundägaren också ett ansvar genom att valpen ges så bra förutsättningar som möjligt. När valparna föds har de inga fel på höftlederna, men de är inte färdigutvecklade. Såväl lårben som bäcken består mest av brosk, som är mjukt och kan deformeras och ge en felaktig höftled.
Här är några saker att tänka på som har betydelse för en bra utveckling av höftleder och ligament:
- Lek på halt underlag är en riskfaktor
- Fri rörelse på naturligt underlag hjälper till att bygga upp musklerna kring höftleden, vilket är bra för ledens stabilitet.
- Promenader i koppel bör varvas med fri rörelse.
- För snabb viktökning kan ge skadliga belastningar om den inte är i fas med utveckling av muskulaturen.
- För lite likväl som för mycket motion kan vara skadligt.
- Balanserad kost i rätt mängd är en god hjälp till utvecklingen.
- Extra vitamin- eller kalktillskott ska endast ges på rekommendation av veterinär och är negativt för den friska hunden.
- Kastration kan ha en negativ inverkan på utvecklingen av höftleden och är ingen patentlösning på beteendeproblem. En duktig instruktör ger bättre resultat.
- Håll kontakt med er uppfödare. De svarar gärna på frågor och kan råda er med stöd av sin erfarenhet och kunskap.