
Användning av artificiell intelligens (AI) för att bedöma röntgenbilder av höftleder hos hundar är ett växande område inom veterinärmedicinen. AI-baserade verktyg kan ge snabbare och mer standardiserade bedömningar av höftledsdysplasi (HD) och förbättra diagnostikens noggrannhet. Här är en översikt över detta ämne:
Vad är AI-baserad bedömning av höftleder?
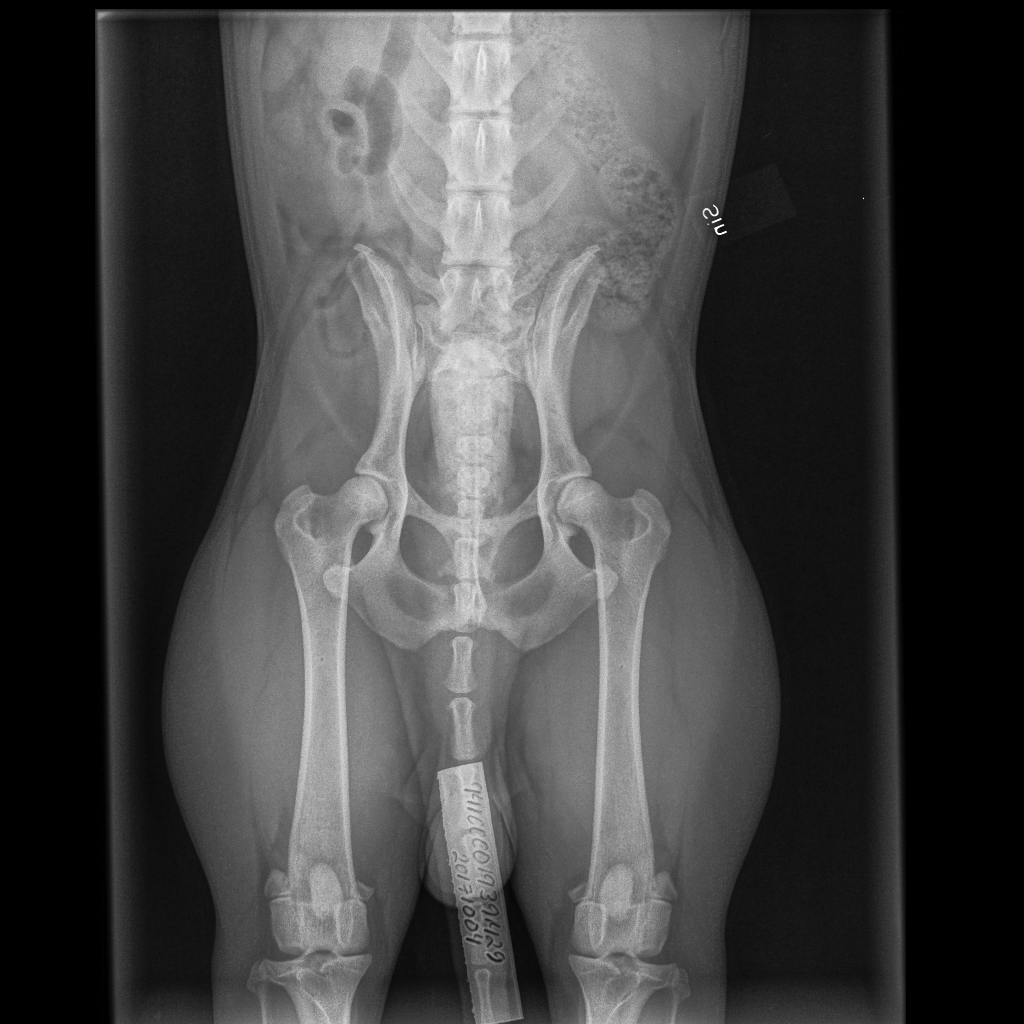
AI-baserad bildanalys innebär användning av maskininlärningsalgoritmer för att analysera röntgenbilder och identifiera mönster eller avvikelser som kan indikera höftledsdysplasi eller andra tillstånd. Systemen tränas på stora dataset av tidigare röntgenbilder som är manuellt bedömda av experter. Resultatet är beroende av vilka bedömningar som har gjorts på det ingående underlaget. Detta betyder om AI baseras på svenska bedömningar blir AI-bedömningen ”svensk”.
Hur fungerar AI-baserad bedömning?
- Bildanalys och segmentering
- AI-modeller analyserar röntgenbilder för att identifiera anatomiska strukturer, såsom lårbenshuvudet och höftledsskålen.
- De kan automatiskt mäta vinklar och avstånd, till exempel Norberg-vinkeln, som är en viktig parameter för att bedöma höftledens passform.
- Gradering av höftledsdysplasi
- AI-system klassificerar höftledens tillstånd enligt standardgraderingar, som A–E (enligt FCI) eller OFA:s skala.
- Algoritmer kan upptäcka subtila förändringar som kan vara svåra för det mänskliga ögat att se.
- Prognostisk analys
- AI kan ge en bedömning av sannolikheten för att en hund kommer att utveckla artros eller andra sekundära problem baserat på de initiala röntgenbilderna.
- Snabbare process
- AI-system kan analysera bilder inom sekunder till minuter, vilket minskar väntetiden för diagnoser och resultat.
Fördelar med AI för bedömning av höftleder
- Standardisering: Minskar risken för mänskliga fel och variationer mellan bedömare.
- Snabbhet: AI kan ge omedelbara resultat, vilket sparar tid för både veterinärer och djurägare.
- Hög noggrannhet: Moderna AI-modeller når ofta en precision som är jämförbar med eller bättre än mänskliga experter.
- Kostnadseffektivitet: Automatiserad analys kan minska kostnaderna för manuell bedömning på lång sikt.
- Tidiga upptäckter: AI kan identifiera små avvikelser som kan signalera höftproblem innan de blir allvarliga.
Exempel på AI-system och forskning
- Vetology AI
- Vetology är ett företag som utvecklar AI-baserade verktyg för att analysera veterinärmedicinska röntgenbilder, inklusive bedömning av höftledsdysplasi.
- Deras system används för att ge snabba och objektiva diagnoser.
- SKK och AI
- Svenska Kennelklubben (SKK) har på senare år börjat utforska AI:s potential inom röntgenbedömning, särskilt för höft- och armbågsleder. Detta kan på sikt effektivisera avläsningsprocessen.
- Forskning inom AI och höftledsbedömning
- Vetenskapliga studier har visat att AI-algoritmer kan matcha eller överträffa människans bedömningsförmåga när det gäller att gradera höftledsdysplasi. AI används bland annat för att minska subjektivitet och förbättra diagnostikens tillförlitlighet.
Begränsningar och utmaningar
- Datakvalitet: AI-system är beroende av högkvalitativa och korrekt annoterade träningsdata.
- Variationer mellan raser: Höftledens anatomi kan skilja sig mycket mellan hundraser, vilket kräver anpassade modeller för olika raser.
- Etiska frågor: AI ska användas som ett komplement till, inte en ersättning för, veterinärens expertis.
- Reglering: Det krävs standardisering och godkännande av AI-verktyg innan de kan användas rutinmässigt.
Framtiden för AI inom höftledsbedömning
AI förväntas spela en allt större roll inom veterinärmedicinen. För höftledsbedömning innebär detta:
- Integration med kliniska journalsystem för att ge veterinärer omedelbar feedback.
- Utveckling av AI-baserade verktyg som är specifikt tränade för olika raser och åldrar.
- Forskning för att kombinera AI-baserad bildanalys med genetiska data för att förutsäga HD-risk redan vid valpålder.